Skip To Content

248 Norman Rd

Powell, TN 37849
  • $186,700
  • STATUS: Closed
  • ON SITE: 378 Days
  • ID#: 1283706
Sold - 11/06/2025
$186,700
SOLD - 11/06/2025
  • 0
    BEDS
  • 1.16
    ACRES
  • 0
    BATHS
  • 0
    1/2 BATHS
Type:
Vacant Land / Lots
County:
Area:

School Ratings & Info

Description

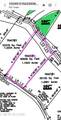
Lot #2 has level building site and then tappers to sloping. Nestled in the heart of Powell, TN, this stunning secluded subdivision offers the perfect blend of country charm and modern convenience. These beautiful lots spans a mix of serene wooded areas and open, cleared spaces, this property is an ideal canvas for your dream home. Located just minutes from Powell's bustling shopping centers, dining options, and city amenities, you'll enjoy the peace and tranquility of a rural setting without sacrificing accessibility. These lots are approximately 1.7 miles from Emory Rd and Clinton Hwy intersection and approximately 6.5 miles from the new Aspire Park. Towering trees provide natural privacy, while the cleared acreage offers plenty of opportunities for development, gardening, or outdoor activities. Whether you're seeking a private escape, a place to build your forever home, or an investment opportunity, this property is a must-see! Enjoy the best of both worlds with country living close to the conveniences of Powell and nearby Knoxville. Features: *Lots range in size from 1.16 acres to 4 acres. *Beautiful mix of wooded and cleared land. *Peaceful country setting. *Conveniently located minutes from shopping, restaurants, and city life. *Endless possibilities for development or recreation! *Fiber Optic available Schedule your showing today to explore the potential of this rare gem in Powell! **Buyer to verify all listing information on property listing to their satisfaction.**

Monthly Payment Calculator



© 2025 East Tennessee REALTORS®. All rights reserved. IDX information is provided exclusively for consumers' personal, non-commercial use and may not be used for any purpose other than to identify prospective properties consumers may be interested in purchasing. Some or all of the listings displayed may not belong to Realty Executives Associates. Information is deemed reliable but is not guaranteed accurate by the MLS or Realty Executives Associates. Data last updated: 2025-12-10T23:47:36.657.
www.ashleyfinney.com/homes/158335947
Print Image

248 Norman Rd Powell, TN 37849

  • Price: $79,900
  • Status: Closed
  • On Site: 378 Days
  • Updated: 125 min ago
  • ID#: 1283706
0
Beds
0
Baths
0
½ Baths
1.16
Acres
County:
Anderson
Area:
Powell
Property Description
Lot #2 has level building site and then tappers to sloping. Nestled in the heart of Powell, TN, this stunning secluded subdivision offers the perfect blend of country charm and modern convenience. These beautiful lots spans a mix of serene wooded areas and open, cleared spaces, this property is an ideal canvas for your dream home. Located just minutes from Powell's bustling shopping centers, dining options, and city amenities, you'll enjoy the peace and tranquility of a rural setting without sacrificing accessibility. These lots are approximately 1.7 miles from Emory Rd and Clinton Hwy intersection and approximately 6.5 miles from the new Aspire Park. Towering trees provide natural privacy, while the cleared acreage offers plenty of opportunities for development, gardening, or outdoor activities. Whether you're seeking a private escape, a place to build your forever home, or an investment opportunity, this property is a must-see! Enjoy the best of both worlds with country living close to the conveniences of Powell and nearby Knoxville. Features: *Lots range in size from 1.16 acres to 4 acres. *Beautiful mix of wooded and cleared land. *Peaceful country setting. *Conveniently located minutes from shopping, restaurants, and city life. *Endless possibilities for development or recreation! *Fiber Optic available Schedule your showing today to explore the potential of this rare gem in Powell! **Buyer to verify all listing information on property listing to their satisfaction.**
Exterior Features

Parking Features []

Property Features

Association Amenities [] Auction YN No Community Features [] Frontage Type [] Level Lot Yes Listing Terms CashConventional Lot Features RollingRolling SlopeOther New Financing Cash Yes New Financing Conventional Yes Property Status N/A Property Sub Type Single Family Yes Restrictions Yes Road Frontage Paved Yes Sale Options Fee Simple Yes Security Features [] Topography Level Yes Utilities Cable TV View Country Setting

Listing information © 2025 East Tennessee REALTORS®.
Listing provided courtesy of Realty Executives Associates: 865-693-3232.


© 2025 East Tennessee REALTORS®. All rights reserved. IDX information is provided exclusively for consumers' personal, non-commercial use and may not be used for any purpose other than to identify prospective properties consumers may be interested in purchasing. Some or all of the listings displayed may not belong to Realty Executives Associates. Information is deemed reliable but is not guaranteed accurate by the MLS or Realty Executives Associates. Data last updated: 2025-12-10T23:47:36.657.
 
https://bt-photos.global.ssl.fastly.net/kaar/1280_boomver_3_1283706-2.jpg https://bt-photos.global.ssl.fastly.net/kaar/1280_boomver_3_1283706-2.jpg https://bt-photos.global.ssl.fastly.net/kaar/1280_boomver_3_1283706-2.jpg
Logo
Realty Executives Associates
10255 Kingston Pike
Knoxville TN, 37922